Stephen Dowling, Isabelle Gerretsen, Richard Gray, Katherine Latham y Jocelyn Timperley - BBC Future
Han pasado 20 años desde que el huracán Katrina azotó el sureste de Luisiana, causando la muerte de 1.833 personas y provocando una calamidad de una magnitud hasta entonces inimaginable. La tormenta golpeó el 29 de agosto de 2005, dejando a la mayor parte de la ciudad bajo el agua y a su población sin electricidad, alimentos ni refugio.
“Mi ciudad, Nueva Orleans, ha caído en un caos total”, le dijo a la BBC en ese momento la residente Windi Sebren. “Mi vida en Nueva Orleans ha terminado por ahora: tengo que empezar de cero”.
Katrina está, sin duda, marcado en la memoria reciente como uno de los peores desastres que han azotado a Estados Unidos. Aquí revisitamos imágenes de ese y algunos de los huracanes más poderosos y destructivos de la historia.
El que más vidas se cobró
En la noche del 9 de octubre de 1780, tras un día templado en la isla caribeña de Barbados, comenzó a llover. A la mañana siguiente el viento empezó a soplar, y para las 6 de la tarde un huracán azotó la isla con toda su fuerza.
Conocido como el Gran Huracán, sigue siendo el huracán atlántico más mortífero jamás registrado. Se estima que el número de muertes oscila entre 20.000 y 27.500.
El huracán arrasó la tierra con vientos probablemente superiores a 200 millas por hora (322 km/h), tan ruidosos que la gente no podía oír sus propias voces. Poco quedó, salvo “barro, escombros, ganado muerto y cadáveres en descomposición”.
Tras dejar Barbados, el Gran Huracán pasó por Martinica, Santa Lucía y San Eustaquio. Olas de hasta 7 metros de altura arrasaron aldeas enteras, y flotas completas de buques de guerra británicos y franceses -junto con los miles de tripulantes a bordo- se hundieron en el fondo del océano.

La tormenta más mortífera de la historia de Estados Unidos fue el huracán de Galveston de 1900. Atravesó el Golfo de México a principios de septiembre de 1900, alcanzando la categoría cuatro antes de azotar Galveston, Texas, el 6 de septiembre.
“Nos encontrábamos con tantos cadáveres que tuve que avanzar con una pica y apartarlos… fue la cosa más horrible que he visto en mi vida”, relató un pescador sobreviviente. Se estima que la tormenta causó entre 6.000 y 8.000 muertes.

Aún más mortíferas fueron las tormentas que tuvieron lugar fuera de la cuenca del Atlántico, donde se las conoce como ciclones o tifones en lugar de huracanes.
El ciclón de Bhola de 1970 golpeó el noreste de India y lo que entonces era Pakistán Oriental (la actual Bangladesh).
Llevó consigo una devastadora marejada ciclónica de 10,5 metros. En total, se cree que hasta 500.000 personas murieron a causa de ese ciclón.

Los más destructivos: Katrina y Mitch
Cómo se mide el daño causado por los huracanes depende de la perspectiva. Para las personas que pierden propiedades, medios de vida y seres queridos, la tormenta que acaba de azotarlos fue devastadora.
Pero si se analiza únicamente en términos del número de propiedades destruidas, dos huracanes destacan: Katrina y Mitch.
La principal razón por la que el huracán Katrina ocupa el lugar del huracán más costoso de la historia es la magnitud de la destrucción que dejó a su paso por el sureste de Estados Unidos. Se estima que entre 217.000 y 300.000 viviendas fueron destruidas o quedaron inhabitables tras la tormenta. Vientos de hasta 140 millas por hora (225 km/h) azotaron el sureste de Luisiana.
La marejada ciclónica alcanzó entre 7,6 m–8,5 m por encima del nivel normal de la marea a lo largo de la costa de Misisipi, y entre 3 m–6,1 m por encima del nivel normal de la marea en la costa sureste de Luisiana. En Nueva Orleans, las olas y la marejada ciclónica rompieron los diques que se suponía debían proteger a la ciudad.

En total, casi el 80% de la ciudad quedó inundada con aguas que alcanzaron hasta 6 metros de profundidad, mientras que 59 tornados generados por la tormenta propagaron más daños a lo largo de ocho estados.
Este impacto convirtió al huracán Katrina en el huracán más costoso jamás registrado en Estados Unidos, con un total de US$201.0000 millones de dólares en daños, ajustados a la inflación de 2024. Después de Katrina, el segundo más costoso fue el huracán Harvey, que provocó US$160.000 millones en daños cuando tocó tierra en Texas y Luisiana.

Pero casi siete años antes, otro huracán causó una destrucción casi tan grande como la de Katrina.
En Estados Unidos, el huracán Mitch dejó daños relativamente menores: 645 viviendas en Florida fueron destruidas por la tormenta cuando cruzó el golfo de México desde la península de Yucatán, en octubre de 1998. Para entonces, sin embargo, ya había causado los peores estragos.

Una semana antes, Mitch había golpeado a Honduras, arrasando comunidades enteras mientras dejaba una estela de destrucción por toda Centroamérica. Esta tormenta fue un monstruo: un huracán de categoría cinco que aún figura entre los más intensos jamás registrados.
Para cuando llegó a Honduras, se había debilitado a un huracán de categoría uno, pero al tocar tierra quedó prácticamente estacionado, descargando enormes cantidades de lluvia. Las inundaciones y deslizamientos de tierra que siguieron dejaron entre 10.000 y 19.000 muertos en Honduras, Nicaragua, Guatemala, Belice y El Salvador.
Al menos 200.000 viviendas fueron demolidas o gravemente dañadas por la tormenta. Solo en Honduras, 70.000 casas y 92 puentes fueron destruidos, mientras aldeas enteras eran engullidas por ríos de lodo que descendían de las montañas. La ONU estimó que, en total, más de medio millón de personas perdieron sus hogares.

Las mayores velocidades de viento
Podría pensarse que las tormentas más poderosas son aquellas que causan más daños y se cobran más vidas. Pero no siempre es así.
El huracán Patricia fue la tormenta número 24 de la temporada de huracanes de 2015 y se formó cerca del golfo de Tehuantepec, frente a la costa sur de México. Las condiciones favorables hicieron que pasara de tormenta tropical a huracán de categoría cinco en apenas 24 horas.
El 23 de octubre, la velocidad máxima del viento de Patricia sostenida durante 10 segundos alcanzó 221 millas por hora (356 km/h), medida desde un avión en vuelo (en tierra se registraron velocidades o 338 km/h). Fue la velocidad más alta jamás registrada en el hemisferio occidental y tan intensa como una de las tormentas más poderosas de la historia: el tifón Nancy de 1961.

El trayecto de Patricia atravesó zonas relativamente poco pobladas de México, evitando grandes ciudades, lo que limitó el número de muertes. Además, se debilitó drásticamente tras tocar la costa mexicana, aunque llegó a tierra con velocidades de viento registradas de hasta 265 km/h.
El efecto del terreno montañoso de México debilitó aún más a Patricia y, para el 24 de octubre, prácticamente había desaparecido.
A pesar de su intensidad, el número de muertes fue sorprendentemente bajo: solo dos personas murieron directamente a causa de la tormenta, con otras cuatro muertes indirectas, según la Administración Nacional Oceánica y Atmosférica de Estados Unidos (NOAA).
Rápida intensificación
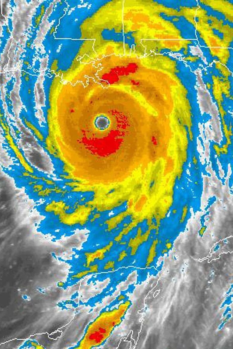
Esta semana, el huracán Erin se convirtió en el primer huracán del Atlántico de 2025, bordeando la costa continental de Estados Unidos y llevando a los meteorólogos a emitir advertencias a los surfistas sobre corrientes de resaca. Se cree que es uno de los huracanes que más rápidamente se ha intensificado en tan temprana fecha en la temporada.
Las tormentas más fuertes tienden a ocurrir más tarde en el año, después del 1 de septiembre. Erin pasó de huracán de categoría uno a categoría cinco en poco más de 24 horas, antes de debilitarse nuevamente a categoría dos.
La rápida intensificación se define como un aumento en los vientos máximos sostenidos de un ciclón tropical de al menos 30 nudos (35 mph) en un período de 24 horas, según el Servicio Meteorológico Nacional de Estados Unidos. Estos huracanes de intensificación rápida pueden ser particularmente peligrosos, ya que la gente tiene menos tiempo para prepararse.

Erin no es la única tormenta que se ha intensificado rápidamente en los últimos años. En 2024, el huracán Milton se convirtió en la tormenta atlántica que más rápido pasó de depresión tropical a huracán de categoría cinco.
Ese mismo año, el huracán Beryl rompió un récord al ser la tormenta atlántica más temprana, en junio o principios de julio, en intensificarse desde una depresión tropical hasta convertirse en huracán.
Mientras tanto, en 2023, los huracanes Lee y Jova sorprendieron a los científicos con su repentina intensificación, especialmente considerando que lo hicieron durante un fenómeno de El Niño, que normalmente reduce la actividad de huracanes en el Atlántico.
Por supuesto, los huracanes siempre se han intensificado a distintos ritmos. Otros dos huracanes atlánticos -Félix en 2007 y Wilma en 2005- también son notables por su intensificación especialmente rápida.
Pero las investigaciones han demostrado que, en general, las tasas de intensificación han aumentado de manera significativa en los últimos años debido al calentamiento global, una tendencia que continuará.
Todo se debe al mayor calentamiento de la superficie del mar sobre la que estas tormentas se forman y desplazan a causa del cambio climático. Erin, por ejemplo, atravesó aguas que, en promedio, estaban 1,1 °C más cálidas debido al cambio climático.
Haz clic aquí para leer más historias de BBC News Mundo.
Suscríbete aquí a nuestro nuevo newsletter para recibir cada viernes una selección de nuestro mejor contenido de la semana.
También puedes seguirnos en YouTube, Instagram, TikTok, X, Facebook y en nuestro canal de WhatsApp.
Y recuerda que puedes recibir notificaciones en nuestra app. Descarga la última versión y actívalas.
La tormenta Erin crece en tamaño a medida que avanza por el Caribe
Cómo se forman los huracanes y por qué son tan frecuentes en EE.UU., México y el Caribe


